
Adana'da bir mahalle sit alanı ilan edildi!
Kültür ve Turizm Bakanlığı Adana Kültür Varlıklarını Koruma Bölge Kurulu, Adana'nın Ceyhan ilçesinde bir mahalleyi sit alanı ilan etti.
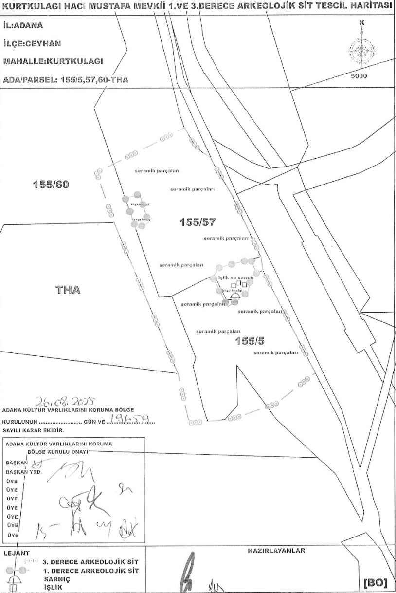
Kültür ve Turizm Bakanlığı Adana Kültür Varlıklarını Koruma Bölge Kurulu, Adana'nın Ceyhan ilçesinde önemli bir karar alarak, tespit edilen arkeolojik alanı 1. ve 3. Derece Arkeolojik Sit Alanı olarak tescil etti.
Kurtkulağı Mahallesi'ndeki özel ve kamu mülkiyetinde yer alan parsellerde gerçekleştirilen incelemeler sonucunda, bölgenin zengin tarihi kalıntılara ev sahipliği yaptığı belirlendi. Kurul kararında, alanda; sarnıçlar, işlikler, kaya kesikleri, kaya oyuğu nişler ve seramik parçaları gibi çok sayıda kültür varlığının bulunduğu ifade edildi.
Tescil ve Koruma Süreci Başladı
26 Ağustos 2025 tarihli karara göre, bu arkeolojik alanın tescil edilmesiyle birlikte bölgedeki korunma süreci resmen başladı. Kararın ekinde yer alan sit fişi, sit haritası ve Geçiş Dönemi Koruma Esasları ve Kullanma Koşullarının uygun olduğuna karar verildi.

Ayrıca, ilgili yerel idarelerin, kararın gereği olarak 3 yıl içerisinde 1/5000 ölçekli Koruma Amaçlı Nazım İmar Planı ve 1/1000 ölçekli Koruma Amaçlı Uygulama İmar Planlarının hazırlıklarını yaparak Kurul'a sunmaları kararlaştırıldı.



HABERE YORUM KAT
Türkçe karakter kullanılmayan ve büyük harflerle yazılmış yorumlar onaylanmamaktadır.